
Prezzo : €400/mese
Tipologia Annunci :
In Affitto
Tipologia :
Locale Commerciale
Posizione :
Torino - Santa Rita
Superficie : 45mq
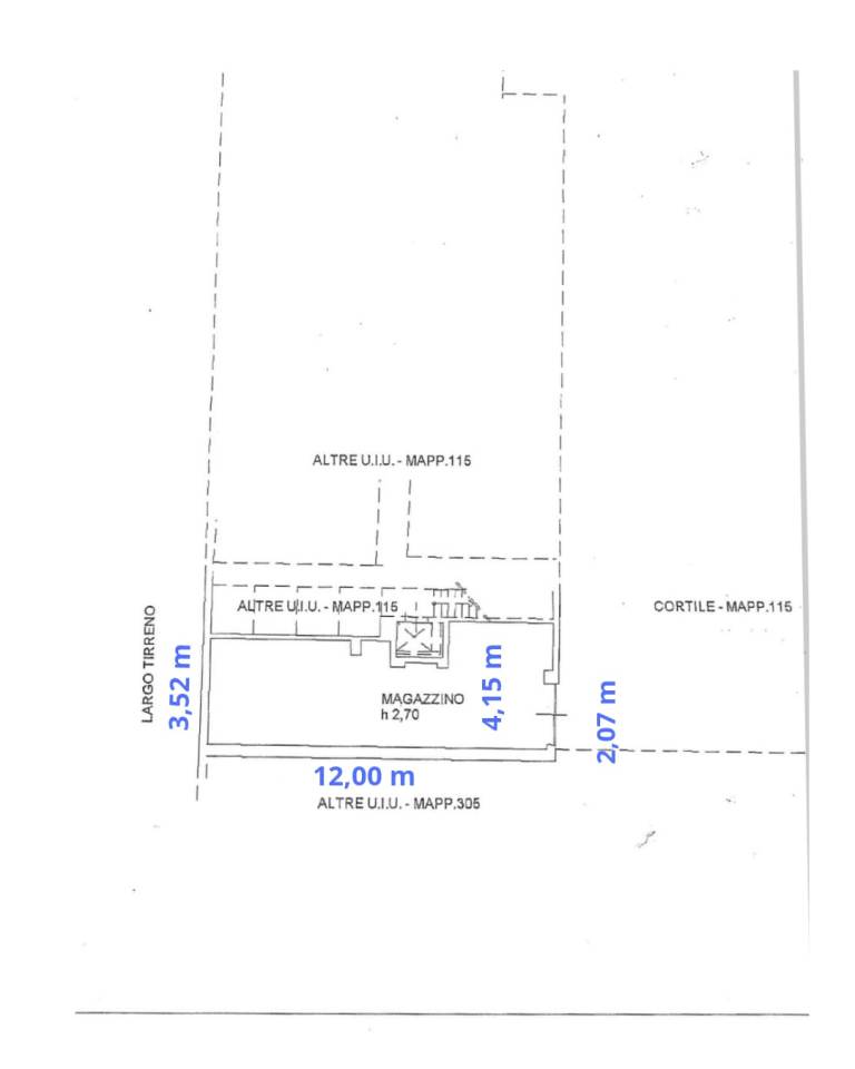
VIA FRINCO 2, Torino – zona Santa Rita, ad angolo con Via Romolo Gessi, proponiamo in LOCAZIONE magazzino di 45 mq. all’ interno del cortile condominiale.
L’ ingresso dell’immobile è da passo carraio con cancello motorizzato, di facile accesso in auto e pedonale, senza barriere architettoniche.
Misure: 12 mt. x 3,52 mt.
Larghezza porta ingresso: 2,07 mt.
Altezza porta ingresso: 2 mt.
Altezza interna : 2,75 mt.
Zona ad alta densità abitativa.
Ideale per artigiani, piccoli e-commerce (deposito merci) o rimessaggio auto/moto.
Stabile ad un isolato da Via Tripoli e C.so Orbassano.
LIBERO SUBITO.
NESSUNA SPESA CONDOMINIALE E DI RISCALDAMENTO.
Contratto di tipo commerciale 6 anni + 6 anni
Classe Energetica: “F” – EP gl, nren (kWh/m²anno): 278,99.















